R-34-3

TO ESCONDIDO BY PRIVATE CAR

the town existed, showing among other things her childhood home. The 4-6-0 was scrapped at San Bernardino in 1922. Mr. Salzer's father-in-law once worked as a mining engineer for the Guggenheim Foundation. His job took him to Tonopah, Nevada camps and various Arizona mining districts. An oldtime cattle rustler became a part of Mr. Bundy's life story when he was called on to handle his notorious client's estate not too long ago.

At 10:00am GP-9's 705 and 721 coupled their eight loaded cars and caboose onto our plush conveyance and we were soon taking the switch at Escondido Jct., bound for the back country. Conductor Bill Hines sat at his desk in the crummey and read over the train order:
.................................................................................................................................................................

"DX SAN BDNO DEC 8 1966 1027AM

C AND E ESCONDIDO LOCAL DEC 10TH OCEANSIDE

TAS-572 PRIVATE CAR CYRUS K HOLIDAY PACIFIC SOUTHWEST RAILWAY MUSEUM ASSN. 12 PSGRS IN CHARGE MR JACK STODELLE. SAN DIEGO FORWARD CAR TO OCEANSIDE ON MO 73-J WERE CUT AND FORWARD ON ESCONDIDO LOCAL TO ESCONDIDO AND RETURN TO OCEANSIDE FOR FURTHER MOVEMENT TO SAN DIEGO TRAIN 78-J MINIMUM GUARANTEE OF 57.75 IN EACH DIRECTION TOTAL 115.50 TO BE PROTECTED PER TARRIFF 28-17 IT IS UNDERSTOOD THAT PASSENGERS WILL MAKE THEIR OWN ARRANGEMENTS FROM OCEANSIDE TO SAN DIEGO SHOULD LOCAL FROM ESCONDIDO MISS CONNECTION WITH 78-J AND THAT CAR WELL BE MOVED FROM OCEANSIDE TO SAN DIEGO ON A LATER TRAIN. ALL CONCERNED RENDER EVERY COURTESY AND ATTENTION. JT H-285

JOHNSON
.................................................................................................................................................................

Many surprised faces followed the progress of our car across Oceanside's main avenue, as we headed around the curve toward the Interstate 5 undercrossing. The reballasting earlier in the year made the branch almost indistinguishable from the main line. The recent rains had brought green to the hills and soft spots and mud holes to the track. However, no derailments occurred and our mixed train made it to Vista a little before eleven.

The attractive depot at Vista looked much as it did when it was built more than fifty years ago. Mrs. Cook poked her head inside to say "Hello" to her friend. Agent Bobbett, only to find him gone. Later, between San Marcos and Escondido, Bobbett and his wife caught up with the train. "Tell Mrs. Cook 'hello' for me," he yelled from the highway. Mrs.
(Continued on Fg 4)


POTLUCK AT MEETING

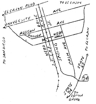
PSRMA's regular meeting for January will be held at Nebo Hall, 4726 Nebo Dr., in La Mesa. The date is January 15, a Sunday, at 7:00 p.m.

This meeting will be something new for the museum. It will be a potluck dinner type get together. Be sure to bring your family along tool! Other activities will include installation of officers, and entertainment in the form of movies on our favorite subject—railroads.

We know that this will be quite a meeting. More information will follow. According to Kent Andersen, our PR man, cards will be out soon giving complete information about our coming meeting.

The map below shows the way to Nebo Hall, so let's all be sure to come. The hall is located directly below the La Mesa Model Railroad Club.

report34pg3a.jpg


COMING IN THE NEXT ISSUE

Educational series page for February will feature the railroad morse code and abbreviations, the Whyte system of steam locomotive wheel arrangements, locomotive whistle signals and communicating whistle signals. We hope that you find our series of educitional pages informative and intertaining.

THIS ISSUE

The first page of this issue is an experiment. If sucessful more will come.

BACK HOME EXCURSIONS GALLERY FAQ HISTORY STORIES SOUNDS LINKS